Sonniges Grundstück am Südhang in Ortsrandlage mit grandiosem Ausblick

Sonniges Grundstück am Südhang in Ortsrandlage mit grandiosem Ausblick

Rheinland-Pfalz, Leinsweiler| Kauf

E&V ID: W-02QIY2_Leinsweiler

  • Grundstücksflächeca. 546 m² Grundstücksfläche
  • Preis145.000 €

Direkt am Ortseingang des beliebten staatlich anerkannten Erholungsorts Leinsweiler an der Weinstraße liegt dieses Hanggrundstück mit südlicher Ausrichtung.
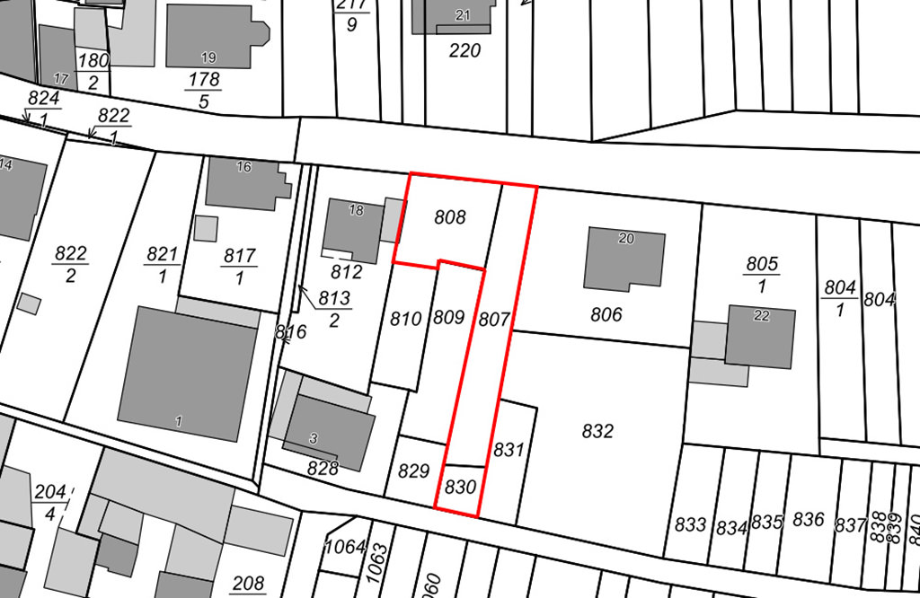
Es handelt sich dabei um insgesamt drei Flurstücke mit einer Fläche von ca. 546 m², welche sich von der Weinstraße bis zur Talsenke der Ortschaft erstrecken. So ist auch ein direkter Zugang zum Mehrgenerationenplatz „Sonnenplätzel“ und einem nahen Spielplatz gegeben.
Die Flurstücke liegen im bebauten Ortsbereich, umgeben von 1-2 geschossiger Bebauung in offener Bauweise. Wasser und Abwasser sind in der Straße vorhanden, Strom befindet sich in der Nähe. Ein sich auf dem Grundstück befindlicher Freimast (0,4 kV) müsste je nach zukünftiger Nutzung des Grundstücks eventuell umgesetzt werden. Ein Kostenvoranschlag für die Versetzung an die östliche Grundstücksgrenze seitens des Netzbetreibers liegt bereits vor.
Ein rechtskräftiger Bebauungsplan liegt lediglich für einen Teil des südlich gelegenen Gartens vor und betitelt diesen als private Grünfläche. Die straßenseitigen Teile des Grundstücks liegen nicht im Geltungsbereich dieses Bebauungsplans, eine Bebauung ist nach § 34 BauGB, unbeplanter Innenbereich, möglich. Wir empfehlen in Hinblick auf eine mögliche Bebauung eine Bauvoranfrage beim zuständigen Bauamt.

Informationen & Details
Bitte beachten Sie unsere Hinweise zu Provision und Maklervertrag

Die Provision in Höhe von 3,57% (inkl. der gesetzlichen Mehrwertsteuer) auf den Kauf­preis ist mit dem Zustandekommen des Kauf­vertrage(notarieller Vertrags­schluss) verdient und fällig. Die Vermittelnde und/oder Nachweisende, Christof Jäger Immo­bi­lien GmbH & Co. KG und ggf. deren Beauftragter, erhalten einen un­mittel­baren Zahl­ungs­anspruch gegen­über dem Käufer (Vertrag zugunsten Dritter, §328 BGB). Sofern es sich bei dem vor­liegenden An­gebot um eine Immo­bilie ent­sprechend §656c (1) BGB handelt, hat der Immobilien­makler einen provisions­pflichtigen Makler­vertrag mit dem Ver­käufer in gleicher Höhe ab­geschlossen. Auf eine weitere mögliche Doppel­tätigkeit des Maklers, sowie eine möglicher­weise bestehende Ver­einbarung bezüglich §656d (1) BGB wird hiermit hingewiesen. Die Höhe der Brutto­courtage unter­liegt einer An­passung bei Steuer­satz­änderung. Alle Angaben sind ohne Gewähr und basieren aus­schließ­lich auf Informationen, die uns von unserem Auftrag­geber zur Verfügung gestellt wurden. Wir über­nehmen keine Gewähr für Voll­ständigkeit, Richtigkeit und Aktualität dieser Angaben. Technische Funktions­prüfungen wurden durch uns nicht durch­geführt. Die Grund­erwerbsteuer, Notar- und Grund­buch­kosten sind vom Käufer zu tragen. Irrtum und Zwischen­verkauf vor­behalten. Sollte das von uns nach­gewiesene Objekt bereits bekannt sein, teilen Sie uns dies bitte unverzüglich mit. Die Weiter­gabe dieses Exposés an Dritte ohne unsere Zustimmung löst gegebenenfalls Courtage- bzw. Schadens­ersatz­ansprüche aus.